All
Search
Images
Videos
Maps
News
More
Shopping
Flights
Travel
Notebook
Report an inappropriate content
Please select one of the options below.
Not Relevant
Offensive
Adult
Child Sexual Abuse
Length
All
Short (less than 5 minutes)
Medium (5-20 minutes)
Long (more than 20 minutes)
Date
All
Past 24 hours
Past week
Past month
Past year
Resolution
All
Lower than 360p
360p or higher
480p or higher
720p or higher
1080p or higher
Source
All
Dailymotion
Vimeo
Metacafe
Hulu
VEVO
Myspace
MTV
CBS
Fox
CNN
MSN
Price
All
Free
Paid
Clear filters
SafeSearch:
Moderate
Strict
Moderate (default)
Off
Filter
FANDOM
Pokémon GO - Dynamic Weather
Weather is an in-game phenomenon that mimics a Trainer's real-world weather experience. The current weather is reflected in the Map View and capture phase[1]. Weather conditions make Pokémon of certain types to: appear more frequently in wild be at least level 6 and IV floor of 4/4/4 in wild be level 25 and 13 in the Bonus Challenge of Raid ...
Nov 1, 2018
GoAnimate Tutorials
32:57
GoAnimate: Tutorial 07, Part 01
YouTube
TechKnowledgeee
349 views
Jun 12, 2020
15:01
GoAnimate: Tutorial 03, Part 01
YouTube
TechKnowledgeee
2.3K views
Nov 24, 2015
9:29
GoAnimate: Tutorial 01, Part 02
YouTube
TechKnowledgeee
642 views
Nov 23, 2015
Top videos
0:10
2.3K views · 25 reactions | This is the latest animated satellite loop from the GOES-West weather satellite showing Hurricane Linda travel west over the eastern Pacific. It is forecast to approach the Hawaiian Islands later this weekend or early next week. The GOES-West satellite has been encountering technical difficulties recently and will be replaced by an upcoming weather satellite launch. Some of the glitches in this loop are due to those ongoing issues. | Weatherboy Weather | Facebook
Facebook
Weatherboy Weather
2.3K views
1 week ago
Weather Animated Icons
envato.com
Apr 17, 2023
Weather Song Animation
twinkl.co.uk
10 views
May 30, 2021
GoAnimate Comedy World
7:53
How to get Comedy World and the Character Creator back on GoAnimate
YouTube
DeftColeman05
4.7K views
Apr 9, 2017
1:53
GoAnimate Tutorial: Combine Actions and Facial Expressions for Comedy World Characters
YouTube
Jack's GoAnimations
470 views
5 months ago
1:04
HOW TO GET COMEDY WORLD BACK ON Vyond / GoAnimate
YouTube
Daillou 2018 Animation 2018
21.6K views
Oct 23, 2018
0:10
2.3K views · 25 reactions | This is the latest animated satellite loop fr
…
2.3K views
1 week ago
Facebook
Weatherboy Weather
Weather Animated Icons
Apr 17, 2023
envato.com
Weather Song Animation
10 views
May 30, 2021
twinkl.co.uk
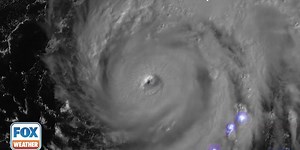
NOAA’s GOES-16 satellite shows size of Hurricane Ian | Latest Weat
…
Sep 27, 2022
foxweather.com
0:30
$
Weather Icons 9 Animated Weather Elements Stock Footage Video (10
…
Jun 19, 2024
shutterstock
bbgraphics
6:44
GoAnimate
7K views
Jan 15, 2013
YouTube
Graham Codney
8:05
GoAnimate Tutorial
582K views
Apr 24, 2014
YouTube
Graham Codney
1:18
Zoey Takes Stereoids And Gets Grounded
2.7K views
Nov 24, 2021
YouTube
MCFRSandHCDFRS10000
Joey Makes An Earthquake And Gets Grounded
14.6K views
Dec 27, 2013
YouTube
caroline0204
Animation Video Weather Forecast Icon Dark Stock Footage Video (10
…
Apr 23, 2023
shutterstock
3:13
GoAnimate Toons | Trailer
124.9K views
Jun 3, 2021
YouTube
RokuKun
40:01
Goanimate Tutorial
96.3K views
Apr 26, 2016
YouTube
Mingyu Li
1:08
GoAnimate - Romance
57.2K views
Apr 15, 2017
YouTube
BabyMarioBrothers
4:08
GoAnimate Crying Voices
818.1K views
Dec 5, 2013
YouTube
Brendan Barney
5:40
Goanimate Tornado
1.1M views
Aug 21, 2017
YouTube
lukas Poplin
11:43
GoAnimate FULL VIDEO TUTORIAL
30.2K views
Jan 11, 2015
YouTube
Colin Tutorials
12:45
Goanimate Voices: OOOOOOOOOh
316.3K views
Aug 23, 2013
YouTube
Zelda Hackenbush
1:43
Sad news about Goanimate For schools
14K views
Jun 30, 2019
YouTube
TheBlackWrapperDude
1:03
GoAnimate - Funky Mama
188.5K views
Dec 29, 2016
YouTube
BabyMarioBrothers
2:39
PBS Kids Goanimate #2
149.8K views
Sep 3, 2016
YouTube
Superstar Candy
7:41
GoAnimate Wrapper Crying Voices
110.4K views
May 15, 2020
YouTube
GoAnimations
0:41
GoAnimate - Ambient (Nostalgic)
120K views
Apr 15, 2017
YouTube
BabyMarioBrothers
17:34
A Look at The GoAnimate Community
68.3K views
Jan 19, 2020
YouTube
Lux
0:05
GoAnimate Logo version 2
23.1K views
Mar 2, 2014
YouTube
SLN! Media Group
7:13
All GoAnimate Characters
187.6K views
Jul 9, 2013
YouTube
Ashton Pitt
2:49
NET and PBS Logos (GoAnimate)
305K views
Feb 2, 2015
YouTube
HiHiPuffyAmiYumiRules2001
4:14
Goanimate 2007 demo remake
57.1K views
Jan 24, 2020
YouTube
Kevin Fan Animations
4:57
GoAnimate Graaa! Voices
117.1K views
Oct 14, 2013
YouTube
louielouie95
1:16
Spongebob Opening Theme Song With Goanimate
40.5K views
Jan 25, 2013
YouTube
Alex Smith
See more videos
More like this
Feedback